《二马图》中寓意深
![]() |
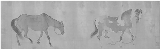
| 元朝画家任仁发《二马图》(图片来源:故宫博物院网站) |
马军
马,风驰电掣又悠然自得,它是沙场上永不止歇的士兵,是草原上灵动不羁的精灵。它触动无数诗人的才思,也激活了无数画家的笔墨。中国古代以马为题材的名画屡见不鲜,从唐朝韩干的《牧马图》到北宋李公麟的《五马图》,从金朝赵霖的《昭陵六骏图》到元朝赵孟頫的《浴马图》,从清朝郎世宁的《百骏图》到现代徐悲鸿的《奔马》,皆以出神入化的艺术表现成为旷世杰作。今天,我们要介绍元朝画家任仁发的《二马图》,这幅画可谓别有深意。
此画现收藏于故宫博物院,为横轴,长142.7厘米,宽28.8厘米。画面十分简洁,无任何背景,只是两匹截然不同、对比强烈的马。位前者是一匹体魄健壮的花马,膘肥毛亮,昂首挺胸,尾巴轻扬,显得志得意满,从容不迫;后边的则是一匹略小的棕色马,它骨瘦如柴,条条肋骨都清晰可见,毫无光泽的头低垂着,尾巴卷曲,鬃毛稀少,步履沉重,显得疲惫不堪。
两马除了肥瘦反差强烈之外,笼头和缰绳的区别也很明显,肥马虽说也戴着笼头,但缰绳却拖在地上,显然这是一匹失去控制的脱缰之马,可以自由自在、为所欲为,所以它才能攫得无尽的上好“夜草”以自肥;而瘦马不仅戴着笼头,且缰绳还紧紧缠绕在脖子上,双重束缚之下,只有循规蹈矩、默默无语地埋头干活了。人们览此,不禁要问,同样是马,何以有这么大的不同?
其实,答案不远,就在画中。画家为此特作了一段题跋:“予吏事之余,偶图肥瘠二马,肥者骨骼权奇,萦一索而立峻坡,虽有厌饫刍豆之荣,宁无羊肠踣蹶之患?瘠者皮毛剥落,啮枯草而立霜风,虽有终身摈斥之状,而无晨驰夜秣之劳。甚矣哉,物情之不类也如此!世之士大夫,廉滥不同,而肥瘠系焉。能瘠一身而肥一国,不失其为廉,苟肥一己而瘠万民,岂不贻污滥之耻欤!按图索骥,得不愧于心乎?因题卷末,以俟识者。”
短短160余字,和盘托出画家所要表达的意蕴主旨,其褒贬取舍已一目了然。其肥马不是一般之马,而是体形高大、花色漂亮的脱缰之马;而瘦马则完全是另一番情状,它没有肥马力气大,每天只能在凛冽的寒风中寂寞地吃点坚硬的枯草,“啮枯草而立霜风”,再加上脖颈上的束缚和枷锁,终日拉车,步履蹒跚,皮毛脱落就是必然的形象了。其实,画家本意并非画马,画的乃是“世之士大夫”,尤其是其中的为官者,“廉滥不同,而肥瘠系焉”。肥马像贪官,虽然壮如山岳,气势逼人,却贪赃枉法、鱼肉百姓,“肥一己而瘠万民”;而瘦马如清官,虽因循规蹈矩、谨小慎微而骨瘦如柴,却兢兢业业、任劳任怨、为国为民,“瘠一身而肥一国”。
肥与瘠,代表着两种完全不同的为官取向和态度,前者瘠的是百姓;后者则是万民得利,虽然瘦了自己,但得到了百姓的拥护和爱戴,豆腐汤、于青菜、一钱太守等等,这些充满敬意的绰号本身就是民心民意的真实体现。
民心民意即是天心天意,肥与瘠哪个能够笑到最后不问可知。画家在跋语中已经说得明白,“虽有厌饫刍豆之荣,宁无羊肠踣蹶之患?”刍豆指马的饲料,厌饫有吃饱、吃腻的含义,肥马纵然有吃不完的草料,但也有在羊肠小道上摔跤的隐患。肥己亦是如此,山珍海味、珠光宝气、宝马香车,固然尊荣,但专欲必然导致路越走越窄,跌跤恐怕是免不了的,会跌得鼻青脸肿,甚至跌得粉身碎骨,因为那不是人心所向、众望所归的阳关大道。
收紧缰绳,时时鞭策,使其不能蹈入欲望的无底黑洞,将规矩的意识化入灵魂之中,从内心中拒绝走旁门左道的邪念,甘愿做一匹“瘠一身而肥一国”的良骥,如此两全其美,成就个人亦报效国家,岂不令人振奋!
(转自《中国纪检监察报》)
